物件詳細

大東市赤井3丁目 建築条件付き売土地

画像は左右にスワイプ・タップで拡大できます。

参考プラン例:建築面積102.06u 建物価格2200万円

参考プラン例:建築面積102.06u 建物価格2200万円

南郷小学校約450m

南郷中学校約130m

万代赤井店約430m


電話でお問い合わせ

価格 1,580万円〜1,680万円
所在地 大東市赤井3丁目
交通 JR学研都市線「住道」駅・徒歩10分
築年月
建物構造
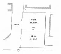
土地面積 61.58m2(18.62坪)
建延面積
前面道路西側約4m
小学校区南郷小学校
中学校区南郷中学校
用途地域第1種住居地域
都市計画市街化区域
土地権利所有権
地目宅地
建ぺい率60%
容積率200%
取引態様仲介
現況/引き渡し 更地/相談
周辺環境 コンビニ スーパー 病院 銀行 郵便局 小学校 中学校
備考 〜物件おすすめポイント〜
・JR学研都市線「住道」駅徒歩約10分。快速停車駅のため、
 京橋、北新地方面へ通勤しやすい立地です。
・南郷中学校徒歩2分、南郷小学校徒歩6分。毎日の通学負担が少なく、
 部活動後の帰宅も見守りやすい距離です。
・徒歩5分圏内に商業施設やスーパー、ドラッグストアが揃い、
 仕事帰りに買い物を済ませて帰宅できる生活動線。
・参考プランでは駐車場付き4LDKもご検討可能。
 家族それぞれの個室を確保しやすい間取りです。
・建売住宅と同じような価格帯でありながら、
 間取りや壁紙、水回りの設備などを
 自分たちの好みに合わせて選びたい方におすすめです。
【建築条件付き売土地】
■住道駅徒歩約10分
■土地有効面積約18.62坪

電話でお問い合わせ


不動産の売却をご検討の方は無料売却査定をご利用ください。
経験豊富なスタッフがお客様の売却をサポートいたします。

売却専門サイトはこちら

page top